台风苏拉会去哪里
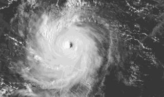
25米/秒),中心最低气压为985百帕。第9号台风“苏拉”已于8月1日22时加强为强台风,1日22时其中心位于台湾省宜兰市东偏南方约110公里的台湾东部近海海面上,即北纬24.1度,东经122.8度,中心附近最大风力有14级(42米/秒),中心最低气压为950百帕,七级风半径500公里,十级风半径120公里。台风苏拉已加强为超强台风
1、台风苏拉已升级为超强台风,中心附近最大风力达到17级以上,堪比历史上的顶级台风,破坏力极强。

2、正朝着广东沿海逼近,预计可能于近期在粤东至闽南一带登陆,周边地区需高度警惕。
3、带来的影响会非常猛烈:狂风暴雨、风暴潮甚至海水倒灌都有可能发生,沿海低洼地区居民要特别注意安全。
4、多地已经启动应急响应,部分航班、列车停运,学校停课,建议大家密切关注最新预报,非必要不外出。

5、提前做好防范:检查门窗牢固性,储备食物、水和应急物品,避免去海边、山区等危险区域。
6、台风来临前看似平静,但千万别放松警惕,稳住,别浪! 安全第一,做好准备才能最大程度减少损失。
相关问题解答
1、台风苏拉现在到底有多猛啊?
好家伙,现在已经是超强台风级别了!中心附近最大风力有17级以上(62米/秒),简直就是“风王”配置,这家伙个头不大但特别紧凑,破坏力集中,要是正面登陆,破坏力可不是开玩笑的。
2、它接下来会往哪儿跑?会不会登陆我国?
目前看大概率会先擦过台湾南部,然后奔着广东福建沿海去,最新预测说可能在9月1日晚上到2日凌晨登陆粤东到闽南一带,汕头、汕尾、惠州这些地方都得严阵以待,不过台风路径随时会调,还得紧盯气象部门更新。
3、对哪些地方影响最大?
广东东部、福建南部要重点防!特别是汕头、厦门、漳州、深圳这些沿海城市,狂风暴雨少不了,台湾南部也得小心,虽然可能不直接登陆,但外围云系已经带来强降雨了。
4、咱们该做点啥准备?
赶紧检查门窗加固好,阳台花盆杂物收进来,囤点食物、水和充电宝,沿海的朋友们随时关注撤离通知,万一发布台风红色预警,千万别出门瞎晃悠!安全第一啊兄弟们!
本文来自作者[宗政春景]投稿,不代表恒通号立场,如若转载,请注明出处:https://www.htjxxc.com/life/202508-71.html
评论列表(3条)
我是恒通号的签约作者“宗政春景”
本文概览:台风苏拉会去哪里25米/秒),中心最低气压为985百帕。第9号台风“苏拉”已于8月1日22时加强为强台风,1日22时其中心位于台湾省宜兰市东偏南方约110公里的台湾东部近海海面...
文章不错《台风苏拉会去哪里 台风苏拉已加强为超强台风》内容很有帮助